LocalWeatherKY's profile picture. Kentuckiana weather here! All weather updates including Severe Weather, Winter Weather, Updated Forecasts, and more! Moderated by the Kentuckiana Weather crew.

Kentuckiana Weather

@LocalWeatherKY

Kentuckiana weather here! All weather updates including Severe Weather, Winter Weather, Updated Forecasts, and more! Moderated by the Kentuckiana Weather crew.

#Harvey rain to stretch all the way into western Mississippi. Dumping 30"+ in southeastern TX this weekend into early next wk.

LocalWeatherKY's tweet image. #Harvey rain to stretch all the way into western Mississippi. Dumping 30"+ in southeastern TX this weekend into early next wk.

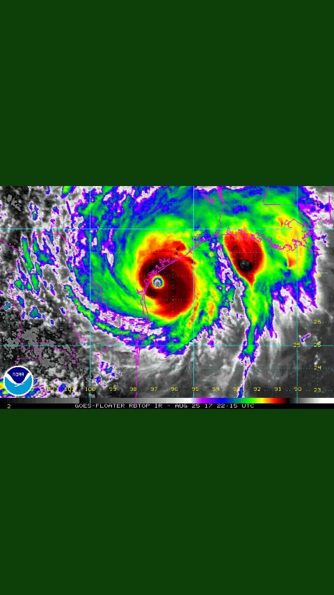
Very visible eye-wall about 25 miles SSE from the TX coast, dumping loads of rain on #CorpusChristi. #Harvey #HurricaneHarvey

LocalWeatherKY's tweet image. Very visible eye-wall about 25 miles SSE from the TX coast, dumping loads of rain on #CorpusChristi. #Harvey #HurricaneHarvey

Crazy stuff from #Harvey. VERY impressive cat. 4 right now. Brace for impact!

LocalWeatherKY's tweet image. Crazy stuff from #Harvey. VERY impressive cat. 4 right now. Brace for impact!

Kentuckiana Weather reposted

Bad storm blowing through Louisville now!


Kentuckiana Weather reposted

Small shelf cloud moving into downtown Louisville now.

MarcWeinbergWX's tweet image. Small shelf cloud moving into downtown Louisville now.

Kentuckiana Weather reposted

#SEVERE T-STORM WARNING in Jefferson and Oldham co. for high winds and hail until 7:00 PM EDT.

MarcWeinbergWX's tweet image. #SEVERE T-STORM WARNING in Jefferson and Oldham co. for high winds and hail until 7:00 PM EDT.

Kentuckiana Weather reposted

Severe risk from SPC for our area this evening. Let's discuss the storm threat in my FB *LIVE VIDEO*... facebook.com/Marc-Weinberg-…


12:51: Mostly cloudy around the area with portions of sun. Some rain and sprinkles south. Current temps in the low 70s-low 80s. #kywx #inwx


9:27: Overcast with rain in our middle/southern counties. Current temperatures are in the upper 60s-low 80s. #kywx #inwx


Kentuckiana Weather reposted

Some needed rain is developing for much of the area this evening. Update on how much to expect at 10. #KYwx #INwx

JeremyKappell's tweet image. Some needed rain is developing for much of the area this evening. Update on how much to expect at 10. #KYwx #INwx

Kentuckiana Weather reposted

Why does he need the shades? Not too much sun going on there unless he was just posing. #poser not #photoshopped??


Kentuckiana Weather reposted

Here's what's happening now on MAX HD Radar and Satellite... whas11.com @WHAS11

TGweather's tweet image. Here's what's happening now on MAX HD Radar and Satellite... whas11.com @WHAS11

Kentuckiana Weather reposted

Scattered showers/storms will cont mainly S of the Hal Rodgers Pkwy over the next hour. Heavy rain and frequent lightning possible. #kywx

nwsjacksonky's tweet image. Scattered showers/storms will cont mainly S of the Hal Rodgers Pkwy over the next hour. Heavy rain and frequent lightning possible. #kywx

Kentuckiana Weather reposted

Here are the current temperatures for #Kentucky and #Indiana whas11.com @WHAS11

TGweather's tweet image. Here are the current temperatures for #Kentucky and #Indiana whas11.com @WHAS11

Uh oh! #TempGlitch

Automatic Ky Mesonet Temps for June 04, 2017 at 06:00PM #wbkowx #wbko #kywx

ChrisAllenSkywx's tweet image. Automatic Ky Mesonet Temps for June 04, 2017 at 06:00PM #wbkowx #wbko #kywx


7:02: Mostly cloudy around the area, with scattered rain and sprinkles. Current temperatures in the low-mid 80s and slightly falling.


Kentuckiana Weather reposted

At 330 PM, #Indy sits at 87°. New warmest temp of the year. #INwx


Loading...

Something went wrong.


Something went wrong.