#ragasa search results

We easily got the satellite photo of the year from Super Typhoon #RAGASA. Very hard to get any better than this.

FerragamoWx's tweet image. We easily got the satellite photo of the year from Super Typhoon #RAGASA. Very hard to get any better than this.

On my final plane home. What an adventure. #Ragasa

AaronRigsbyOSC's tweet image. On my final plane home. What an adventure. #Ragasa

GOSAT-2 (IBUKI-2) satellite images of Super Typhoon #Ragasa over the Babuyan Islands on September 22. Forward and backward scans taken ~1 minute apart.

doomhaMwx's tweet image. GOSAT-2 (IBUKI-2) satellite images of Super Typhoon #Ragasa over the Babuyan Islands on September 22. Forward and backward scans taken ~1 minute apart.
doomhaMwx's tweet image. GOSAT-2 (IBUKI-2) satellite images of Super Typhoon #Ragasa over the Babuyan Islands on September 22. Forward and backward scans taken ~1 minute apart.

On September 30, a powerful 6.9 #earthquake rocked the central Philippines, striking just days after Super Typhoon #Ragasa battered the north.


The Western North Pacific (NWPAC) has crossed 100 ACE units, the average date at which this occurs is August 17th. 45% of the seasonal activity has occurred in the last 7 days with #Ragasa and #Neoguri. Historically -ENSO seasons see 60-70% of ACE production September-December.


Apologies for the lack of updates - hanging tight in Batanes whilst waiting for flights to get up and running again, will be a few days yet. An Air Force C-130 made run up here today though. The island is doing well after #Ragasa #Nandoph with power back on etc


Army of volunteers arriving by train at Kuangfu, #Hualien, the area devastated by Typhoon #Ragasa. They come in groups with their own tools to help clean up & care for the victims. #Taiwan’ll stay strong, resilient & in solidarity. 💪💪💪


Sep 20- 21, Super Typhoon #Ragasa underwent extreme rapid intensification, strengthening 137kph (85mph) in ~24hrs. The strongest tropical system on Earth (so far) this year. One driver: unusually warm Philippine Sea waters, made 10–40x more likely by human-caused climate change

ClimateCentral's tweet image. Sep 20- 21, Super Typhoon #Ragasa underwent extreme rapid intensification, strengthening 137kph (85mph) in ~24hrs.

The strongest tropical system on Earth (so far) this year.

One driver: unusually warm Philippine Sea waters, made 10–40x more likely by human-caused climate change

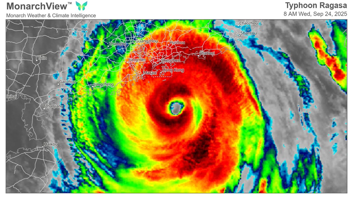
Typhoon #RAGASA is being torn apart over southern China. The system made landfall as a 105 kt (120 mph) Category 3 in the Guangdong Province. It’s decaying core brought big storm surge to the Hong Kong area.


شهدت مقاطعة هُوَالين (Hualien) في شرق #تايوان🇹🇼 انهيارًا خطيرًا لجسر Mataian Bridge يوم الثلاثاء 24 سبتمبر 2025، نتيجة الفيضانات التي تسببت بها الأمطار الغزيرة المصاحبة للإعصار #Ragasa الأمطار الغزيرة سبّبت انهيارات أرضية شكّلت ما يُعرف بـ "بحيرة حاجزة" (Barrier Lake) في مجرى…


With #Fungwong approaching the Philippines, I have completed my documentary documenting Super Typhoon #Ragasa and the unexpected paradise we found ourselves stranded on. This documentary is a little different than my usual ones, but with how special the Batanas Islands were I…

AaronRigsbyOSC's tweet image. With #Fungwong approaching the Philippines, I have completed my documentary documenting Super Typhoon #Ragasa and the unexpected paradise we found ourselves stranded on. This documentary is a little different than my usual ones, but with how special the Batanas Islands were I…

Super Typhoon #Ragasa has left 17 people dead and dozens injured in China's #Taiwan region. More than 100 people remain missing, according to the local emergency operations center.


Deux personnes et un enfant ont été filmées en train de prendre un selfie à l'approche du typhon #Ragasa à #HongKong ce 24 septembre et ont été emportées par la forte houle accompagnant la tempête. Un comportement particulièrement inconscient. Vidéo via @WeatherMonitors


فديو للفيضانات الذي التي ضربت إقليم هوالين في #تايوان 🇹🇼 اثر تأثير الاعصار #Ragasa

From Kuwait

Our first night in Basco as we awaited the arrival of Super Typhoon, #Ragasa. @JordanHallWX and I sat on the beach and stared at one of the most incredible night skies either one of us have ever seen. Distant lightning while a Milky Way so bright you could nearly see the space…

AaronRigsbyOSC's tweet image. Our first night in Basco as we awaited the arrival of Super Typhoon, #Ragasa. @JordanHallWX  and I sat on the beach and stared at one of the most incredible night skies either one of us have ever seen. Distant lightning while a Milky Way so bright you could nearly see the space…

فديو للفيضانات الذي التي ضربت إقليم هوالين في #تايوان 🇹🇼 اثر تأثير الاعصار #Ragasa

From Kuwait

Scène insolite à Macau en #Chine où les habitants ont pu pêcher directement dans les rues, certains poissons s'étant réfugiés dans le secteur pour échapper à la houle du super typhon #Ragasa. Vidéo via Shanghai Daily


Whilst peoples of Philippines were hit by Typhoons #Ragasa and #Bualoi, and Jamaica & the island nations of the carribean grappled with hurricane #Melissa, Africa & Africans are forever suffering the devastating effects of rulers from the pits of hades who loot their countries…


With #Fungwong approaching the Philippines, I have completed my documentary documenting Super Typhoon #Ragasa and the unexpected paradise we found ourselves stranded on. This documentary is a little different than my usual ones, but with how special the Batanas Islands were I…

AaronRigsbyOSC's tweet image. With #Fungwong approaching the Philippines, I have completed my documentary documenting Super Typhoon #Ragasa and the unexpected paradise we found ourselves stranded on. This documentary is a little different than my usual ones, but with how special the Batanas Islands were I…

Auszeichnung für 101 Helfer: Wegen ihres großartigen Engagements bei der Katastrophenhilfe nach Taifun #Ragasa in Ost-T#aiwan verleiht ihnen das Verteidigungsministerium am 5. November eine Spezialmedaille🎖️🇹🇼💪 x.com/Taiwan_Today/s…

The Ministry of National Defense presents 101 members of the armed forces with a special medal🎖️ Nov. 5 for their outstanding efforts🫡 in the rescue operations following Typhoon Ragasa that devastated eastern #Taiwan🇹🇼 in late September. (📸MND)

Taiwan_Today's tweet image. The Ministry of National Defense presents 101 members of the armed forces with a special medal🎖️ Nov. 5 for their outstanding efforts🫡 in the rescue operations following Typhoon Ragasa that devastated eastern #Taiwan🇹🇼 in late September. (📸MND)


no teraz już się poprawiłeś, że na Atlantyku 😉 My byliśmy "live" w #HongKong jak grasował tajfun #ragasa przed kilkoma tygodniami


WX BREAKING: With peak winds of 180mph/290kph Major Hurricane #Melissa in the Atlantic now the strongest TC on Earth this 2025 surpassing Super Typhoon #Ragasa (#NandoPH)'s record of 165mph/270kph in West Pacific. INSANE.

aybaaanx's tweet image. WX BREAKING: With peak winds of 180mph/290kph Major Hurricane #Melissa in the Atlantic now the strongest TC on Earth this 2025 surpassing Super Typhoon #Ragasa (#NandoPH)'s record of 165mph/270kph in West Pacific. INSANE.
aybaaanx's tweet image. WX BREAKING: With peak winds of 180mph/290kph Major Hurricane #Melissa in the Atlantic now the strongest TC on Earth this 2025 surpassing Super Typhoon #Ragasa (#NandoPH)'s record of 165mph/270kph in West Pacific. INSANE.

wydaje mi się, że tajfun #Ragasa wiał z prędkością pomad 320 kmh i to właśnie on był największy w tym roku.


#Melissa é agora o ciclone tropical MAIS INTENSO do mundo neste ano, com pressão central de 901 hPa, superando o Supertufão #Ragasa com 905 hPa. O Melissa também se torna o sétimo furacão mais intenso já registrado no Atlântico (desde 1851), superando o Katrina (2005; 902 hPa).

BREAKING: Hurricane #Melissa is now the MOST-INTENSE tropical cyclone worldwide this year, with central pressure of 901 hPa, surpassing Super Typhoon #Ragasa with 905 hPa. Melissa (2025) also becomes the seventh most-intense Atlantic hurricane on record (since 1851), surpassing…



❗Hurricane Melissa is now the most-intense tropical #cyclone worldwide this year, with central pressure of 901 hPa, surpassing Super #Typhoon #Ragasa with 905 hPa. Melissa also becomes the seventh most-intense #Atlantic hurricane on record (since 1851), surpassing #Katrina


Super Typhoon Ragasa Documentary is done and will be posted in 30 minutes! It is my first time ever editing something together this long and it was BRUTAL. Be sure to check it out on YouTube! #Typhoon #Ragasa #tropical #Nandoph

JordanHallWX's tweet image. Super Typhoon Ragasa Documentary is done and will be posted in 30 minutes! It is my first time ever editing something together this long and it was BRUTAL. 

Be sure to check it out on YouTube! 
#Typhoon #Ragasa #tropical #Nandoph

After the powerful Typhoon #Ragasa strikes the coast of Guangdong, the military is helping residents clean up garbage. Since kindergarten, the Chinese have been educated that "when trouble arises, find our PLA soldiers or police." The PLA is affectionately called "our most…


#Ragasa #樺加沙 #SuperTyphoon #超強颱風 "Super Typhoon Ragasa, Storm Goddess!" China's National Day was a few days ago, but last Wednesday, Super Typhoon Ragasa hit Hong Kong. The weather was beautiful on National Day, with clear skies and fireworks in the evening. It's grateful!

SidneyLiuHK's tweet image. #Ragasa #樺加沙 #SuperTyphoon #超強颱風
"Super Typhoon Ragasa, Storm Goddess!" China's National Day was a few days ago, but last Wednesday, Super Typhoon Ragasa hit Hong Kong. The weather was beautiful on National Day, with clear skies and fireworks in the evening. It's grateful!
SidneyLiuHK's tweet image. #Ragasa #樺加沙 #SuperTyphoon #超強颱風
"Super Typhoon Ragasa, Storm Goddess!" China's National Day was a few days ago, but last Wednesday, Super Typhoon Ragasa hit Hong Kong. The weather was beautiful on National Day, with clear skies and fireworks in the evening. It's grateful!
SidneyLiuHK's tweet image. #Ragasa #樺加沙 #SuperTyphoon #超強颱風
"Super Typhoon Ragasa, Storm Goddess!" China's National Day was a few days ago, but last Wednesday, Super Typhoon Ragasa hit Hong Kong. The weather was beautiful on National Day, with clear skies and fireworks in the evening. It's grateful!

On my final plane home. What an adventure. #Ragasa

AaronRigsbyOSC's tweet image. On my final plane home. What an adventure. #Ragasa

#BR261 getting a good look at Super Typhoon #Ragasa for… reasons? fr24.com/EVA261/3c5332bc

flightradar24's tweet image. #BR261 getting a good look at Super Typhoon #Ragasa for… reasons?
fr24.com/EVA261/3c5332bc

We easily got the satellite photo of the year from Super Typhoon #RAGASA. Very hard to get any better than this.

FerragamoWx's tweet image. We easily got the satellite photo of the year from Super Typhoon #RAGASA. Very hard to get any better than this.

Space Station passing over Typhoon #Ragasa. Look at those mesovortices in the eye!

WeathermanAAA_'s tweet image. Space Station passing over Typhoon #Ragasa. Look at those mesovortices in the eye!

Super Typhoon #RAGASA's landfall on the Babuyan Islands marked the 25th occurrence of a Category 5 making landfall in the Philippines since just 1945. Imagine that, *25* Category 5 landfalls in just 80 years, or about one strike every ~3 years. Easily the hurricane capital of…

FerragamoWx's tweet image. Super Typhoon #RAGASA's landfall on the Babuyan Islands marked the 25th occurrence of a Category 5 making landfall in the Philippines since just 1945.

Imagine that, *25* Category 5 landfalls in just 80 years, or about one strike every ~3 years. Easily the hurricane capital of…

Check out the size of #Ragasa's Eyewall, in fact it had triple eyewalls not that long ago, the double eyewalls are still visible as it nears landfall.

StormHQwx's tweet image. Check out the size of #Ragasa's Eyewall, in fact it had triple eyewalls not that long ago, the double eyewalls are still visible as it nears landfall.

Our first night in Basco as we awaited the arrival of Super Typhoon, #Ragasa. @JordanHallWX and I sat on the beach and stared at one of the most incredible night skies either one of us have ever seen. Distant lightning while a Milky Way so bright you could nearly see the space…

AaronRigsbyOSC's tweet image. Our first night in Basco as we awaited the arrival of Super Typhoon, #Ragasa. @JordanHallWX  and I sat on the beach and stared at one of the most incredible night skies either one of us have ever seen. Distant lightning while a Milky Way so bright you could nearly see the space…

🌪 Машинаа хийсэхээс хамгаалж Хонконг 👍 #TyphoonRagasa #Typhoon #Ragasa #HongKong

MongolWoman's tweet image. 🌪 Машинаа хийсэхээс хамгаалж 
Хонконг 👍
#TyphoonRagasa #Typhoon #Ragasa #HongKong
MongolWoman's tweet image. 🌪 Машинаа хийсэхээс хамгаалж 
Хонконг 👍
#TyphoonRagasa #Typhoon #Ragasa #HongKong

Sep 20- 21, Super Typhoon #Ragasa underwent extreme rapid intensification, strengthening 137kph (85mph) in ~24hrs. The strongest tropical system on Earth (so far) this year. One driver: unusually warm Philippine Sea waters, made 10–40x more likely by human-caused climate change

ClimateCentral's tweet image. Sep 20- 21, Super Typhoon #Ragasa underwent extreme rapid intensification, strengthening 137kph (85mph) in ~24hrs.

The strongest tropical system on Earth (so far) this year.

One driver: unusually warm Philippine Sea waters, made 10–40x more likely by human-caused climate change

GOSAT-2 (IBUKI-2) satellite images of Super Typhoon #Ragasa over the Babuyan Islands on September 22. Forward and backward scans taken ~1 minute apart.

doomhaMwx's tweet image. GOSAT-2 (IBUKI-2) satellite images of Super Typhoon #Ragasa over the Babuyan Islands on September 22. Forward and backward scans taken ~1 minute apart.
doomhaMwx's tweet image. GOSAT-2 (IBUKI-2) satellite images of Super Typhoon #Ragasa over the Babuyan Islands on September 22. Forward and backward scans taken ~1 minute apart.

With #Fungwong approaching the Philippines, I have completed my documentary documenting Super Typhoon #Ragasa and the unexpected paradise we found ourselves stranded on. This documentary is a little different than my usual ones, but with how special the Batanas Islands were I…

AaronRigsbyOSC's tweet image. With #Fungwong approaching the Philippines, I have completed my documentary documenting Super Typhoon #Ragasa and the unexpected paradise we found ourselves stranded on. This documentary is a little different than my usual ones, but with how special the Batanas Islands were I…

#Ragasa The Dongsha Island weather station recorded a minimum sea level pressure of 922.6 hPa on September 23rd, when the center of Typhoon Ragasa passed through Taiwan. This is the lowest pressure ever recorded by Taiwan's meteorological system!

yangyubin1998's tweet image. #Ragasa  The Dongsha Island weather station recorded a minimum sea level pressure of 922.6 hPa on September 23rd, when the center of Typhoon Ragasa passed through Taiwan. This is the lowest pressure ever recorded by Taiwan's meteorological system!
yangyubin1998's tweet image. #Ragasa  The Dongsha Island weather station recorded a minimum sea level pressure of 922.6 hPa on September 23rd, when the center of Typhoon Ragasa passed through Taiwan. This is the lowest pressure ever recorded by Taiwan's meteorological system!

7am in #HongKong and #TyphoonRagasa is still hitting the city. It’s expected to be closest to Hong Kong during the next 2 hours with maximum gusts exceeding 188km per hours. This is how it sounds from Mid-Levels / Sai Ying Pun with barely anything to see. #Ragasa

imtheyouss's tweet image. 7am in #HongKong and #TyphoonRagasa is still hitting the city.

It’s expected to be closest to Hong Kong during the next 2 hours with maximum gusts exceeding 188km per hours.

This is how it sounds from Mid-Levels / Sai Ying Pun with barely anything to see. #Ragasa
imtheyouss's tweet image. 7am in #HongKong and #TyphoonRagasa is still hitting the city.

It’s expected to be closest to Hong Kong during the next 2 hours with maximum gusts exceeding 188km per hours.

This is how it sounds from Mid-Levels / Sai Ying Pun with barely anything to see. #Ragasa

My data from #Typhoon #RAGASA's landfall in China. I was on Hailing Island, which the eye passed over. Notice the three agency tracks are not exactly the same—there are some minor discrepancies, which happens when a system's radar presentation starts to degrade. Observations: *…

iCyclone's tweet image. My data from #Typhoon #RAGASA's landfall in China. I was on Hailing Island, which the eye passed over. Notice the three agency tracks are not exactly the same—there are some minor discrepancies, which happens when a system's radar presentation starts to degrade. Observations:

*…

Hong Kong getting ready for the Super Typhoon #Ragasa

bhavis's tweet image. Hong Kong getting ready for the Super Typhoon #Ragasa

These big lobby windows facing the sea are gonna get pounded by fierce winds coming off the water. The tape is useless, but those braces may help save the installations from caving in. Chasing #Typhoon #RAGASA in #China

iCyclone's tweet image. These big lobby windows facing the sea are gonna get pounded by fierce winds coming off the water. The tape is useless, but those braces may help save the installations from caving in.  Chasing #Typhoon #RAGASA in #China

Super Typhoon Ragasa Documentary is done and will be posted in 30 minutes! It is my first time ever editing something together this long and it was BRUTAL. Be sure to check it out on YouTube! #Typhoon #Ragasa #tropical #Nandoph

JordanHallWX's tweet image. Super Typhoon Ragasa Documentary is done and will be posted in 30 minutes! It is my first time ever editing something together this long and it was BRUTAL. 

Be sure to check it out on YouTube! 
#Typhoon #Ragasa #tropical #Nandoph

Loading...

Something went wrong.


Something went wrong.


United States Trends