#entengph 搜尋結果

We're done repacking. Sorry it took a long time. We'll send updates again tomorrow for distribution. Have a happy weekend and good night. THANK YOU SO MUCH, SPONSORS. #EntengPH

PlushiesForHope's tweet image. We're done repacking. Sorry it took a long time. We'll send updates again tomorrow for distribution. Have a happy weekend and good night. 

THANK YOU SO MUCH, SPONSORS. #EntengPH
PlushiesForHope's tweet image. We're done repacking. Sorry it took a long time. We'll send updates again tomorrow for distribution. Have a happy weekend and good night. 

THANK YOU SO MUCH, SPONSORS. #EntengPH

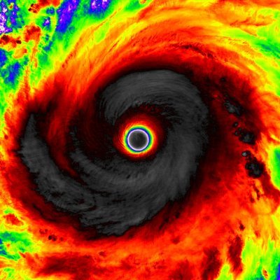
Typhoon #Yagi(#EntengPH) is now undergoing rapid intensification. Dual VHTs rotating around the eye have appeared and the CDO is visibly maturing. We'll likely be looking at a major typhoon in ~12hrs.

xoriwx's tweet image. Typhoon #Yagi(#EntengPH) is now undergoing rapid intensification. Dual VHTs rotating around the eye have appeared and the CDO is visibly maturing. We'll likely be looking at a major typhoon in ~12hrs.

Mahigit 1,000 relief boxes inihahanda ng Office of the Vice President para sa mga apektadong pamilya sa Jovellar, Albay dulot ng Bagyong #EntengPH 📸 OVP

smninews's tweet image. Mahigit 1,000 relief boxes inihahanda ng Office of the Vice President para sa mga apektadong pamilya sa Jovellar, Albay dulot ng Bagyong #EntengPH

📸 OVP
smninews's tweet image. Mahigit 1,000 relief boxes inihahanda ng Office of the Vice President para sa mga apektadong pamilya sa Jovellar, Albay dulot ng Bagyong #EntengPH

📸 OVP
smninews's tweet image. Mahigit 1,000 relief boxes inihahanda ng Office of the Vice President para sa mga apektadong pamilya sa Jovellar, Albay dulot ng Bagyong #EntengPH

📸 OVP

Sino ang sinungaling, sina #CarinaPH, #DindoPH #EntengPH, #FerdiePH, #GenerPH, #HelenPH, #IgmePH at #JulianPH ba o si #BabyEmPH? Sa lahat na bagyo, wala akong nakitang puti na tumulong man lang sa disaster relief. Typhoons are fact checking the Budol. CTTO of the Videos.


PAALALA at WARNING(Sept.4,Wed.8:19PM): "Temporary Rain Break"ang nararansan ngayon sa parts(Metro Manila at West Sections ng Luzon) possible mamaya bago mag midnight o Bukas (Thurs.) ng early morning maulan muli dahil sa #Habagat. Nanatili "possible" ang #WalangPasok #EntengPh

weatherphilipp1's tweet image. PAALALA at WARNING(Sept.4,Wed.8:19PM): "Temporary Rain Break"ang nararansan ngayon sa parts(Metro Manila at West Sections ng Luzon) possible mamaya bago mag midnight o Bukas (Thurs.) ng early morning  maulan muli dahil sa #Habagat. Nanatili "possible" ang #WalangPasok #EntengPh

Mabilis na pagtaas ng baha at pagguho ng lupa, iyan ang idinulot ng paghagupit ng bagyong #EntengPH sa bansa, lalo na sa maraming bahagi ng probinsya ng Rizal. Ano raw ang dahilan nito? Panoorin ang aming ulat tungkol dito:


Unofficial #HCCTWO (1) #Yagi (#EntengPH) becomes a #Supertyphoon near #China. Could become a Category 5 (2,3) #13W and #Hone are meandering out to sea (4,5) #94W and and another system in the gulf could develop #wx #wxtwitter #tropicswx #typhoon #TyphoonYagi

hurricane_chase's tweet image. Unofficial #HCCTWO 
(1) #Yagi (#EntengPH) becomes a #Supertyphoon near #China. Could become a Category 5
(2,3) #13W and #Hone are meandering out to sea
(4,5) #94W and and another system in the gulf could develop

#wx #wxtwitter #tropicswx #typhoon #TyphoonYagi

(PAGHANDAAN) SEVERE WEATHER WARNING(Sept. 5,Thurs.9:58AM):#Habagat "Peak Rain" para sa ngayong araw possible mamaya bago mag tanghali o hapon sa Metro Manila at Parts ng West Sections ng Luzon,possible ang mas matinding mga pagulan.#EntengPh #WalangPasok

weatherphilipp1's tweet image. (PAGHANDAAN) SEVERE WEATHER WARNING(Sept. 5,Thurs.9:58AM):#Habagat "Peak Rain" para sa ngayong araw possible mamaya bago mag tanghali o hapon sa Metro Manila at Parts ng West Sections ng Luzon,possible ang mas matinding mga pagulan.#EntengPh #WalangPasok

Hanggang ngayon ay lubog pa din sa tubig ang ilang mga kabahayan sa ilang barangay sa Minalabac, Camarines Sur mula noong September 2. Ito ay dahil ng pag-apaw ng tubig mula sa Bicol River dahil sa TC #EntengPH. Malaking pinsala din ang dulot sa mga pananim ng mga residente dito.

pads_nosi's tweet image. Hanggang ngayon ay lubog pa din sa tubig ang ilang mga kabahayan sa ilang barangay sa Minalabac, Camarines Sur mula noong September 2. Ito ay dahil ng pag-apaw ng tubig mula sa Bicol River dahil sa TC #EntengPH. Malaking pinsala din ang dulot sa mga pananim ng mga residente dito.
pads_nosi's tweet image. Hanggang ngayon ay lubog pa din sa tubig ang ilang mga kabahayan sa ilang barangay sa Minalabac, Camarines Sur mula noong September 2. Ito ay dahil ng pag-apaw ng tubig mula sa Bicol River dahil sa TC #EntengPH. Malaking pinsala din ang dulot sa mga pananim ng mga residente dito.
pads_nosi's tweet image. Hanggang ngayon ay lubog pa din sa tubig ang ilang mga kabahayan sa ilang barangay sa Minalabac, Camarines Sur mula noong September 2. Ito ay dahil ng pag-apaw ng tubig mula sa Bicol River dahil sa TC #EntengPH. Malaking pinsala din ang dulot sa mga pananim ng mga residente dito.
pads_nosi's tweet image. Hanggang ngayon ay lubog pa din sa tubig ang ilang mga kabahayan sa ilang barangay sa Minalabac, Camarines Sur mula noong September 2. Ito ay dahil ng pag-apaw ng tubig mula sa Bicol River dahil sa TC #EntengPH. Malaking pinsala din ang dulot sa mga pananim ng mga residente dito.

🌧️RAINING IN MANILA🌧️ Ayon sa 11am weather advisory ng PAGASA, asahan ang moderate to heavy rains na may kasamang malakas na hangin sa NCR ngayong araw (5 Sept 2024), dulot ng #Habagat na pinalalakas ng Super Typhoon Yagi (ex-#EntengPH). 📸 Bryan Bonifacio


UPDATE SA BAGYO AT HABAGAT🌀🌧️ Lumakas pa bilang Typhoon ang Yagi o formerly #EntengPH na nasa labas na ng PAR ngayong hapon. Ang trough o extension nito ay nakaaapekto sa Northern Luzon. [THREAD]

earthshakerph's tweet image. UPDATE SA BAGYO AT HABAGAT🌀🌧️

Lumakas pa bilang Typhoon ang Yagi o formerly #EntengPH na nasa labas na ng PAR ngayong hapon. Ang trough o extension nito ay nakaaapekto sa Northern Luzon.

[THREAD]

BREAKING: #Yagi (formerly #EntengPH) becomes the strongest tropical #cyclone WORLDWIDE this 2024.

來自 mateyo

Ngayong araw, September 2, ay sinususpinde ng Pamahalaang Lungsod ng Maynila ang klase sa lahat ng antas ng pribado at pampublikong paaralan. Ito ay sa banta ng bagyong #EntengPH. #WalangPasok

Gbillonz231's tweet image. Ngayong araw, September 2, ay sinususpinde ng Pamahalaang Lungsod ng Maynila ang klase sa lahat ng antas ng pribado at pampublikong paaralan. Ito ay sa banta ng bagyong #EntengPH.

#WalangPasok

UPDATE: Phivolcs issues lahar advisory for Mayon Volcano due to two weather disturbances—Tropical storm #DantePH and Severe Tropical Storm #EntengPH—which are expected to bring heavy to torrential rains over the Bicol Region. “These rains could generate volcanic sediment flows…

inquirerdotnet's tweet image. UPDATE: Phivolcs issues lahar advisory for Mayon Volcano due to two weather disturbances—Tropical storm #DantePH and Severe Tropical Storm #EntengPH—which are expected to bring heavy to torrential rains over the Bicol Region.

“These rains could generate volcanic sediment flows…

TINGNAN: Opisyal nang tinanggal ng PAGASA ang 8 pangalan ng bagyo (#AghonPH, #EntengPH, #JulianPH, #KristinePH, #LeonPH, #NikaPH, #OfelPH, at #PepitoPH) mula sa regular nitong listahan dahil sa malalaking pinsalang idinulot nito sa iba’t ibang bahagi ng bansa noong 2024. 1/3

PTVph's tweet image. TINGNAN: Opisyal nang tinanggal ng PAGASA ang 8 pangalan ng bagyo (#AghonPH, #EntengPH, #JulianPH, #KristinePH, #LeonPH, #NikaPH, #OfelPH, at #PepitoPH) mula sa regular nitong listahan dahil sa malalaking pinsalang idinulot nito sa iba’t ibang bahagi ng bansa noong 2024.

1/3

Breaking news 🚨 #PepitoPh has reached Category 5 Super Typhoon. With maximum winds up to 260kph, according to the Joint Typhoon Warning Center of America. This might be the 2nd strongest Typhoon since #EntengPH (Yagi) Source: Philippine Weather System/Pacific Strom Update…

ReachardFZ's tweet image. Breaking news 🚨
#PepitoPh has reached Category 5 Super Typhoon. With maximum winds up to 260kph, according to the Joint Typhoon Warning Center of America. 
This might be the 2nd strongest Typhoon since #EntengPH (Yagi)

Source: Philippine Weather System/Pacific Strom Update…

Asec. Uvero: Binabantayan natin ang basic necessities... Kahit wala pa ang bagyong Kristine, 'yung Camarines Sur, may price freeze order na 'yan dahil nasa state of calamity na ito dahil sa bagyong #EntengPH...


Flashfloods in 2024: #CarinaPH: Waist-deep outside, didn’t enter the house. #EntengPH: Chest-level outside, waist-deep inside. 🚗🪑👚 submerged. #KristinePH: Waist-deep outside, ankle-deep inside. Prepped 24 hrs ahead. In 30+ years living here, never seen floods this bad.


Damaged riprap from #EntengPH still unfixed, now at risk of another overflow due to #KristinePH rains. Continuous downpour, monitoring closely as last flash flood reached chest level in our area 📍Bulao Creek, Village East, Brgy. Muntingdilaw Antipolo / Brgy. Sto. Domingo Cainta


Pagkatapos ni Enteng, si Kristine naman. Stay safe, mga Kababolkada! #EntengPH #KristinePH

iamshine0's tweet image. Pagkatapos ni Enteng, si Kristine naman. Stay safe, mga Kababolkada!

#EntengPH #KristinePH

RELIEF BOXES PARA SA ALBAY Nagsagawa ang Office of the Vice President (OVP) ng Relief Operations sa bayan ng Jovellar, Albay, upang magbigay ng karagdagang tulong sa mga pamilyang naapektuhan ng bagyong #EntengPH noong Setyembre 26. Sa pamamagitan ng OVP - Bicol Satellite…

ValienteNews's tweet image. RELIEF BOXES PARA SA ALBAY

Nagsagawa ang Office of the Vice President (OVP) ng Relief Operations sa bayan ng Jovellar, Albay, upang magbigay ng karagdagang tulong sa mga pamilyang naapektuhan ng bagyong #EntengPH noong Setyembre 26.

Sa pamamagitan ng OVP - Bicol Satellite…
ValienteNews's tweet image. RELIEF BOXES PARA SA ALBAY

Nagsagawa ang Office of the Vice President (OVP) ng Relief Operations sa bayan ng Jovellar, Albay, upang magbigay ng karagdagang tulong sa mga pamilyang naapektuhan ng bagyong #EntengPH noong Setyembre 26.

Sa pamamagitan ng OVP - Bicol Satellite…
ValienteNews's tweet image. RELIEF BOXES PARA SA ALBAY

Nagsagawa ang Office of the Vice President (OVP) ng Relief Operations sa bayan ng Jovellar, Albay, upang magbigay ng karagdagang tulong sa mga pamilyang naapektuhan ng bagyong #EntengPH noong Setyembre 26.

Sa pamamagitan ng OVP - Bicol Satellite…
ValienteNews's tweet image. RELIEF BOXES PARA SA ALBAY

Nagsagawa ang Office of the Vice President (OVP) ng Relief Operations sa bayan ng Jovellar, Albay, upang magbigay ng karagdagang tulong sa mga pamilyang naapektuhan ng bagyong #EntengPH noong Setyembre 26.

Sa pamamagitan ng OVP - Bicol Satellite…

Sino ang sinungaling, sina #CarinaPH, #DindoPH #EntengPH, #FerdiePH, #GenerPH, #HelenPH, #IgmePH at #JulianPH ba o si #BabyEmPH? Sa lahat na bagyo, wala akong nakitang puti na tumulong man lang sa disaster relief. Typhoons are fact checking the Budol. CTTO of the Videos.


#NEAUpdate | Five (5) electric cooperatives (ECs) from six (6) provinces and three (3) regions were impacted by the Typhoon Julian. #PowerUpdate #EntengPH facebook.com/share/p/PzHJru…


#NEAUpdate | A total of 22 electric cooperatives (ECs) from 17 provinces and four (4) regions were impacted by the Typhoon Julian. #PowerUpdate #EntengPH See details ⬇️ facebook.com/share/p/cvFQQt…


1,000 pamilya na naapektuhan ng bagyong #EntengPH sa Jovellar, Albay, pinadalhan ng tulong ng Office of the Vice President. | via @SurfaceCarlo


OVP RELIEF OPERATIONS: TYPHOON ENTENG AND SOUTHWEST MONSOON Narito ang breakdown ng mga isinagawang Relief Operations ng Office of the Vice President para sa mga Pilipinong apektado ng nangyaring Typhoon #EntengPH noong September 2-6, 2024. Sa pamamagitan ng OVP-Disaster…

ValienteNews's tweet image. OVP RELIEF OPERATIONS: TYPHOON ENTENG AND SOUTHWEST MONSOON

Narito ang breakdown ng mga isinagawang Relief Operations ng Office of the Vice President para sa mga Pilipinong apektado ng nangyaring Typhoon #EntengPH noong September 2-6, 2024.

Sa pamamagitan ng OVP-Disaster…
ValienteNews's tweet image. OVP RELIEF OPERATIONS: TYPHOON ENTENG AND SOUTHWEST MONSOON

Narito ang breakdown ng mga isinagawang Relief Operations ng Office of the Vice President para sa mga Pilipinong apektado ng nangyaring Typhoon #EntengPH noong September 2-6, 2024.

Sa pamamagitan ng OVP-Disaster…
ValienteNews's tweet image. OVP RELIEF OPERATIONS: TYPHOON ENTENG AND SOUTHWEST MONSOON

Narito ang breakdown ng mga isinagawang Relief Operations ng Office of the Vice President para sa mga Pilipinong apektado ng nangyaring Typhoon #EntengPH noong September 2-6, 2024.

Sa pamamagitan ng OVP-Disaster…

#EntengPH relief project update We'll start repacking in a few minutes. Thank you for your support and generosity. Items: Rice, Noodles, Meat Loaf, Corned Beef, Cereal, Biscuit and Coffee Number of beneficiaries: 84

PlushiesForHope's tweet image. #EntengPH relief project update
We'll start repacking in a few minutes. Thank you for your support and generosity. 

Items: Rice, Noodles, Meat Loaf, Corned Beef, Cereal, Biscuit and Coffee

Number of beneficiaries: 84
PlushiesForHope's tweet image. #EntengPH relief project update
We'll start repacking in a few minutes. Thank you for your support and generosity. 

Items: Rice, Noodles, Meat Loaf, Corned Beef, Cereal, Biscuit and Coffee

Number of beneficiaries: 84
PlushiesForHope's tweet image. #EntengPH relief project update
We'll start repacking in a few minutes. Thank you for your support and generosity. 

Items: Rice, Noodles, Meat Loaf, Corned Beef, Cereal, Biscuit and Coffee

Number of beneficiaries: 84

NO PETS LEFT BEHIND. With the persistent rains and rising floods from #EntengPH, we urge all pet owners to take every possible precaution to protect their pets during these challenging times. In times of crisis, their survival is entirely in your hands.

PAWSPhilippines's tweet image. NO PETS LEFT BEHIND.

With the persistent rains and rising floods from #EntengPH, we urge all pet owners to take every possible precaution to protect their pets during these challenging times. In times of crisis, their survival is entirely in your hands.

Drop off donations for #EntengPH victims in Barangay San Isidro - Lower Antipolo City. Thank you so much for the trust, JSLs! #JSLsProgramProofs #WeHelpAsOne

jslsprogram's tweet image. Drop off donations for #EntengPH victims in Barangay San Isidro - Lower Antipolo City.

Thank you so much for the trust, JSLs! 

#JSLsProgramProofs
#WeHelpAsOne
jslsprogram's tweet image. Drop off donations for #EntengPH victims in Barangay San Isidro - Lower Antipolo City.

Thank you so much for the trust, JSLs! 

#JSLsProgramProofs
#WeHelpAsOne

Mahigit 1,000 relief boxes inihahanda ng Office of the Vice President para sa mga apektadong pamilya sa Jovellar, Albay dulot ng Bagyong #EntengPH 📸 OVP

smninews's tweet image. Mahigit 1,000 relief boxes inihahanda ng Office of the Vice President para sa mga apektadong pamilya sa Jovellar, Albay dulot ng Bagyong #EntengPH

📸 OVP
smninews's tweet image. Mahigit 1,000 relief boxes inihahanda ng Office of the Vice President para sa mga apektadong pamilya sa Jovellar, Albay dulot ng Bagyong #EntengPH

📸 OVP
smninews's tweet image. Mahigit 1,000 relief boxes inihahanda ng Office of the Vice President para sa mga apektadong pamilya sa Jovellar, Albay dulot ng Bagyong #EntengPH

📸 OVP

DISASTER INFORMATION BULLETIN COMBINED EFFECTS OF TC ENTENG (2024) AND SOUTHWEST MONSOON 12 September 2024 Source: monitoring-dashboard.ndrrmc.gov.ph/assets/uploads… #EntengPH #SouthWestMonsoon #habagat

NDRRMC_OpCen's tweet image. DISASTER INFORMATION BULLETIN
COMBINED EFFECTS OF TC ENTENG (2024) AND SOUTHWEST MONSOON 
12 September 2024
Source: monitoring-dashboard.ndrrmc.gov.ph/assets/uploads…
#EntengPH #SouthWestMonsoon #habagat
NDRRMC_OpCen's tweet image. DISASTER INFORMATION BULLETIN
COMBINED EFFECTS OF TC ENTENG (2024) AND SOUTHWEST MONSOON 
12 September 2024
Source: monitoring-dashboard.ndrrmc.gov.ph/assets/uploads…
#EntengPH #SouthWestMonsoon #habagat
NDRRMC_OpCen's tweet image. DISASTER INFORMATION BULLETIN
COMBINED EFFECTS OF TC ENTENG (2024) AND SOUTHWEST MONSOON 
12 September 2024
Source: monitoring-dashboard.ndrrmc.gov.ph/assets/uploads…
#EntengPH #SouthWestMonsoon #habagat
NDRRMC_OpCen's tweet image. DISASTER INFORMATION BULLETIN
COMBINED EFFECTS OF TC ENTENG (2024) AND SOUTHWEST MONSOON 
12 September 2024
Source: monitoring-dashboard.ndrrmc.gov.ph/assets/uploads…
#EntengPH #SouthWestMonsoon #habagat

DISASTER INFORMATION BULLETIN ENHANCED SOUTHWEST MONSOON, TC FERDIE, AND TC GENER 16 September 2024 Source: monitoring-dashboard.ndrrmc.gov.ph/assets/uploads… #SouthWestMonsoon #habagat #EntengPH #GenerPH

NDRRMC_OpCen's tweet image. DISASTER INFORMATION BULLETIN
ENHANCED SOUTHWEST MONSOON, TC FERDIE, AND TC GENER
16 September 2024
Source: monitoring-dashboard.ndrrmc.gov.ph/assets/uploads…
 #SouthWestMonsoon #habagat #EntengPH #GenerPH
NDRRMC_OpCen's tweet image. DISASTER INFORMATION BULLETIN
ENHANCED SOUTHWEST MONSOON, TC FERDIE, AND TC GENER
16 September 2024
Source: monitoring-dashboard.ndrrmc.gov.ph/assets/uploads…
 #SouthWestMonsoon #habagat #EntengPH #GenerPH
NDRRMC_OpCen's tweet image. DISASTER INFORMATION BULLETIN
ENHANCED SOUTHWEST MONSOON, TC FERDIE, AND TC GENER
16 September 2024
Source: monitoring-dashboard.ndrrmc.gov.ph/assets/uploads…
 #SouthWestMonsoon #habagat #EntengPH #GenerPH
NDRRMC_OpCen's tweet image. DISASTER INFORMATION BULLETIN
ENHANCED SOUTHWEST MONSOON, TC FERDIE, AND TC GENER
16 September 2024
Source: monitoring-dashboard.ndrrmc.gov.ph/assets/uploads…
 #SouthWestMonsoon #habagat #EntengPH #GenerPH

(20240903pm) rainfall projection until Friday #EntengPH

Weather_Manila's tweet image. (20240903pm) rainfall projection until Friday #EntengPH
Weather_Manila's tweet image. (20240903pm) rainfall projection until Friday #EntengPH
Weather_Manila's tweet image. (20240903pm) rainfall projection until Friday #EntengPH
Weather_Manila's tweet image. (20240903pm) rainfall projection until Friday #EntengPH

#Typhoon #Yagi (#EntengPH) is now entering beast mode and likely at least on the cusp of major typhoon status. The structure is now more or less that of a mature Typhoon and objextive fixes like D-PRINT begin to support intensities in the Category 3 range. #tropicswx

Sausius_wx's tweet image. #Typhoon #Yagi (#EntengPH) is now entering beast mode and likely at least on the cusp of major typhoon status. The structure  is now more or less that of a mature Typhoon and objextive fixes like D-PRINT begin to support intensities in the Category 3 range. #tropicswx
Sausius_wx's tweet image. #Typhoon #Yagi (#EntengPH) is now entering beast mode and likely at least on the cusp of major typhoon status. The structure  is now more or less that of a mature Typhoon and objextive fixes like D-PRINT begin to support intensities in the Category 3 range. #tropicswx

#WALANGPASOK | Base sa Memorandum Circular No. 63 mula sa Malacañang, suspendido ang pasok sa lahat ng antas sa pampubliko at pribadong paaralan at tanggapan ng gobyerno sa buong Metro Manila bukas, Setyembre 3, 2024 (Martes), dahil sa masamang panahon dala ng Bagyong #EntengPH.

QCGov's tweet image. #WALANGPASOK | Base sa Memorandum Circular No. 63 mula sa Malacañang, suspendido ang pasok sa lahat ng antas sa pampubliko at pribadong paaralan at tanggapan ng gobyerno sa buong Metro Manila bukas, Setyembre 3, 2024 (Martes), dahil sa masamang panahon dala ng Bagyong #EntengPH.

SEVERE WEATHER WARNING(Sept.3,Tues.8:48PM): "Temporary Rain Break"ang nararansan ngayon sa parts(Metro Manila at West Sections ng Luzon) possible mamaya bago mag midnight o Bukas (Wed.) ng early morning umulan muli dahil sa #Habagat. Nanatili "possible" ang #WalangPasok #EntengPh

weatherphilipp1's tweet image. SEVERE WEATHER WARNING(Sept.3,Tues.8:48PM): "Temporary Rain Break"ang nararansan ngayon sa parts(Metro Manila at West Sections ng Luzon) possible mamaya bago mag midnight o Bukas (Wed.) ng early morning umulan muli dahil sa #Habagat. Nanatili "possible" ang #WalangPasok #EntengPh

𝐇𝐎𝐓 𝐌𝐄𝐀𝐋𝐒 𝐒𝐄𝐑𝐕𝐄𝐃 𝐓𝐎 𝟏𝟎,𝟎𝟎𝟎 𝐏𝐄𝐎𝐏𝐋𝐄 𝐀𝐅𝐅𝐄𝐂𝐓𝐄𝐃 𝐁𝐘 𝐓𝐒 𝐄𝐍𝐓𝐄𝐍𝐆 The Philippine Red Cross has served hot meals to 10,759 individuals affected by the southwest monsoon intensified by Tropical Storm #EntengPH (international name: Yagi). From…

philredcross's tweet image. 𝐇𝐎𝐓 𝐌𝐄𝐀𝐋𝐒 𝐒𝐄𝐑𝐕𝐄𝐃 𝐓𝐎 𝟏𝟎,𝟎𝟎𝟎 𝐏𝐄𝐎𝐏𝐋𝐄 𝐀𝐅𝐅𝐄𝐂𝐓𝐄𝐃 𝐁𝐘 𝐓𝐒 𝐄𝐍𝐓𝐄𝐍𝐆
The Philippine Red Cross has served hot meals to 10,759 individuals affected by the southwest monsoon intensified by Tropical Storm #EntengPH (international name: Yagi).

From…
philredcross's tweet image. 𝐇𝐎𝐓 𝐌𝐄𝐀𝐋𝐒 𝐒𝐄𝐑𝐕𝐄𝐃 𝐓𝐎 𝟏𝟎,𝟎𝟎𝟎 𝐏𝐄𝐎𝐏𝐋𝐄 𝐀𝐅𝐅𝐄𝐂𝐓𝐄𝐃 𝐁𝐘 𝐓𝐒 𝐄𝐍𝐓𝐄𝐍𝐆
The Philippine Red Cross has served hot meals to 10,759 individuals affected by the southwest monsoon intensified by Tropical Storm #EntengPH (international name: Yagi).

From…
philredcross's tweet image. 𝐇𝐎𝐓 𝐌𝐄𝐀𝐋𝐒 𝐒𝐄𝐑𝐕𝐄𝐃 𝐓𝐎 𝟏𝟎,𝟎𝟎𝟎 𝐏𝐄𝐎𝐏𝐋𝐄 𝐀𝐅𝐅𝐄𝐂𝐓𝐄𝐃 𝐁𝐘 𝐓𝐒 𝐄𝐍𝐓𝐄𝐍𝐆
The Philippine Red Cross has served hot meals to 10,759 individuals affected by the southwest monsoon intensified by Tropical Storm #EntengPH (international name: Yagi).

From…
philredcross's tweet image. 𝐇𝐎𝐓 𝐌𝐄𝐀𝐋𝐒 𝐒𝐄𝐑𝐕𝐄𝐃 𝐓𝐎 𝟏𝟎,𝟎𝟎𝟎 𝐏𝐄𝐎𝐏𝐋𝐄 𝐀𝐅𝐅𝐄𝐂𝐓𝐄𝐃 𝐁𝐘 𝐓𝐒 𝐄𝐍𝐓𝐄𝐍𝐆
The Philippine Red Cross has served hot meals to 10,759 individuals affected by the southwest monsoon intensified by Tropical Storm #EntengPH (international name: Yagi).

From…

SEVERE WEATHER WARNING (Sept.4 Wed.12AM)Isa sa dahilan kaya mas magandang madeklara sana ng maaga ang #WalangPasok para sa ngayong araw (Wed.) dahil mataas ang possibilidad ng mga pagbaha ang possible sa Metro Manila at Parts ng West Sectios ng Luzon. #EntengPh at #Habagat

weatherphilipp1's tweet image. SEVERE WEATHER WARNING (Sept.4 Wed.12AM)Isa sa dahilan kaya mas magandang madeklara sana ng maaga ang #WalangPasok para sa ngayong araw (Wed.)
dahil mataas ang possibilidad ng mga pagbaha ang possible sa Metro Manila at Parts ng West Sectios ng Luzon. #EntengPh at #Habagat

Call for donations for affected areas by #EntengPH. Please RT! 😊

raymond_naguit's tweet image. Call for donations for affected areas by #EntengPH. Please RT! 😊
raymond_naguit's tweet image. Call for donations for affected areas by #EntengPH. Please RT! 😊

WARNING at MAHALAGANG PAALALA(Sept.4,Wed. 12:30AM):Bukod sa matinding ulan na possible sa Metro Manila at ilang parte ng West Sections ng Luzon mataas ang "possibilidad" na umapaw ang La Mesa Dam na located sa Quezon City ngayong araw ng Wednesday.#WalangPasok #Habagat #EntengPh

weatherphilipp1's tweet image. WARNING at MAHALAGANG PAALALA(Sept.4,Wed. 12:30AM):Bukod sa matinding ulan na possible sa Metro Manila at ilang parte ng West Sections ng Luzon mataas ang "possibilidad" na umapaw ang La Mesa Dam na located sa Quezon City ngayong araw ng Wednesday.#WalangPasok #Habagat #EntengPh

#WalangPasok | Agad na nag-anunsyo na wala pa ring pasok sa lahat ng antas sa Marikina City ngayong Miyerkules (September 4, 2024), bunsod ng enhanced #Habagat na pinalalakas ng #EntengPH. Nakataas ngayong 12:15 AM ang 🟠 Orange sa malaking bahagi ng NCR. -- Map as of 12:48 AM

earthshakerph's tweet image. #WalangPasok | Agad na nag-anunsyo na wala pa ring pasok sa lahat ng antas sa Marikina City ngayong Miyerkules (September 4, 2024), bunsod ng enhanced #Habagat na pinalalakas ng #EntengPH. 

Nakataas ngayong 12:15 AM ang 🟠 Orange sa malaking bahagi ng NCR.

--
Map as of 12:48 AM

Public Service Advisory❗️ Magtatalaga ng waiting areas ang ilang mga mall sa lungsod para sa mga QCitizen na nangangailangan ng pansamantalang matutuluyan dahil sa ulan at matinding baha bunsod ng bagyong #EntengPH.

QCGov's tweet image. Public Service Advisory❗️

Magtatalaga ng waiting areas ang ilang mga mall sa lungsod para sa mga QCitizen na nangangailangan ng pansamantalang matutuluyan dahil sa ulan at matinding baha bunsod ng bagyong #EntengPH.
QCGov's tweet image. Public Service Advisory❗️

Magtatalaga ng waiting areas ang ilang mga mall sa lungsod para sa mga QCitizen na nangangailangan ng pansamantalang matutuluyan dahil sa ulan at matinding baha bunsod ng bagyong #EntengPH.
QCGov's tweet image. Public Service Advisory❗️

Magtatalaga ng waiting areas ang ilang mga mall sa lungsod para sa mga QCitizen na nangangailangan ng pansamantalang matutuluyan dahil sa ulan at matinding baha bunsod ng bagyong #EntengPH.

BAD SIGN (LOOK)(Sept.4, Wed. 12:18AM):Napaka-lawak ng sakop ng makakapal na Rain Clouds ng #Habagat .Mas maulan na panahon nagsimula na sa ilang parte ng(Metro Manila at West Sections ng Luzon)possible mas lalawak pa ang area ng sakop ng makakapal na ulap.#WalangPasok #EntengPh

weatherphilipp1's tweet image. BAD SIGN (LOOK)(Sept.4, Wed. 12:18AM):Napaka-lawak ng sakop ng makakapal na Rain Clouds ng #Habagat .Mas maulan na panahon nagsimula na sa ilang parte ng(Metro Manila at West Sections ng Luzon)possible mas lalawak pa ang area ng sakop ng makakapal na ulap.#WalangPasok #EntengPh

Loading...

Something went wrong.


Something went wrong.


United States Trends