#wxtwitter 搜尋結果
A CONE? @accuweather I’m not sure how else to tell you… it. is. NOT. tropical. You hire how many meteorologists, and not one of them can stand up and say this isn’t correct? Besides your weather corporate empire and money.. what do you even gain from this? #wxtwitter

Hey #WXX/#WXtwitter! Let’s start a movement and delete AccuWeather and give them an UNfollow! They constantly spread lies and misinformation about weather and fear-monger almost constantly.

Ocean is now coming up to the boardwalk steps in Ocean City, NJ. Biggest waves are easily 10+ feet. Wind gusts are 40+mph #wxtwitter #noreaster #NJwx
Get the long sleeves ready! As this Nor'Easter pulls away from the coast, it's going to usher in some much colder air. Heading into the weekend it will feel more like Novembrrrr than October. #wxtwitter #wxX
While #WxTwitter is arguing fair use case law for 30 seconds between a weather streamer and gaming streamer, the Master General of Arizona is at it again! 🙃😬🤪


Despite Melbourne Beach barely having a beach tourists and visitors are still enjoying it. @NbergWX @TMainolfiWESH @FLStormChasers_ @spann #FLwx #wxtwitter.

Digital Drawing of the Rolling Fork tornado I finished #Wx #weather #wxtwitter It’s definitely up there with the most violent tornados I’ve witnessed. I still remember it like it was yesterday. Hard to believe it’s been two years since.

Flash Flood EMERGENCY including Pinal County, AZ till 1:45 PM MST. Between 2 to 3 inches of rain have fallen. This is a FLASH FLOOD EMERGENCY for Whitlow Canyon and Queen Creek. This is a PARTICULARLY DANGEROUS SITUATION. SEEK HIGHER GROUND NOW! #FlashFlood #AZwx #wxtwitter

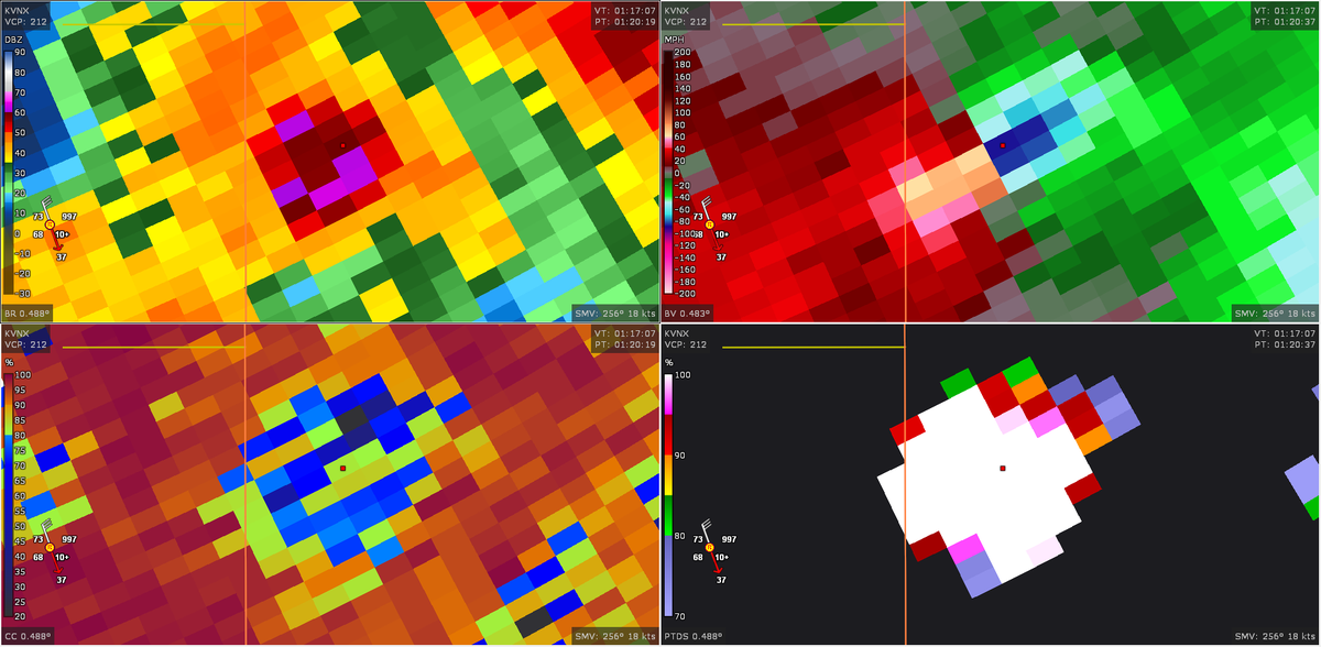
if the RAP is to be believed we are about to witness a potentially generational flood event over the weekend across the desert southwest. widespread 2-3 inch totals with localized areas up to 7 inches in regions. this needs to be talked about #Arizona #wxtwitter

Our major nor'easter is finally starting to take shape as deep amounts of convection firing over the Carolinas is visible on satellite. The storm is also a tad bit stronger than where the GFS initialized it. Definitely something to watch. #wxtwitter
And so it begins... First Snow of the Season for the infamous Coquihalla Highway in BC. Aka The Highway Thru Hell. #bcstorm #shareyourweather #wxtwitter @spann @accuweather @weathernetwork

Down to 8 min miles. Guess lungs didn't care for it.. Whole reason I got medically retired from the Army anyways. Lungs got f**ked up in Iraq. Whatever pain is weakness leaving the body. Something POGS and all these soft chasers will never understand. #wxtwitter #Military


The Weather Prediction Center has issued a mesoscale discussion in southwestern to south-central to southeastern AZ as isolated to scattered flash flooding likely through 00Z. Hourly rain of 1-2 inches possible #AZwx #wxtwitter #severewx #Flood #WeatherUpdate #BREAKING
Supercell Sunday goes to this beast in Roswell New Mexico that produced 2 tornadoes on April 26th 2025 #nmwx #wxtwitter

#FlashFloodEmergency 035 has been issued for Queen Valley AZ until 1:45 pm MST #wxtwitter #wxX #flashflood #flood #azwx Move immediately to higher ground Avoid walking or driving through flood waters ⚠️This is a Life Threatening Situation. Seek higher ground now!

Flash Flood EMERGENCY including Pinal County, AZ till 1:45 PM MST. Between 2 to 3 inches of rain have fallen. This is a FLASH FLOOD EMERGENCY for Whitlow Canyon and Queen Creek. This is a PARTICULARLY DANGEROUS SITUATION. SEEK HIGHER GROUND NOW! #FlashFlood #AZwx #wxtwitter

Despite Melbourne Beach barely having a beach tourists and visitors are still enjoying it. @NbergWX @TMainolfiWESH @FLStormChasers_ @spann #FLwx #wxtwitter.

Ocean is now coming up to the boardwalk steps in Ocean City, NJ. Biggest waves are easily 10+ feet. Wind gusts are 40+mph #wxtwitter #noreaster #NJwx
UPDATE ON 1ST NOREASTER OF THE SEASON TWO EGGS not one. Big wins for the ECMWF, ECMWF AI, UKMET, EURO ensemble, RGEM... AURORA AI (Navida) Defeat/ BUST for NAM, RRFS, HRRR, google Deepmind, Pangu AI , NEUTRAL GFS, ICON, CMC #wxtwitter #vawx #mdwx #wvwx #dcwx…


A CONE? @accuweather I’m not sure how else to tell you… it. is. NOT. tropical. You hire how many meteorologists, and not one of them can stand up and say this isn’t correct? Besides your weather corporate empire and money.. what do you even gain from this? #wxtwitter

We have a marginal risk of severe weather Tuesday mid afternoon into early evening across parts of New Mexico for damaging winds and large hail possible #nmwx #wxtwitter #severewx


We have a marginal risk of severe weather today across parts of southern/central Arizona for damaging winds and large hail possible #azwx #severewx #wxtwitter




Hey #WXX/#WXtwitter! Let’s start a movement and delete AccuWeather and give them an UNfollow! They constantly spread lies and misinformation about weather and fear-monger almost constantly.

Get the long sleeves ready! As this Nor'Easter pulls away from the coast, it's going to usher in some much colder air. Heading into the weekend it will feel more like Novembrrrr than October. #wxtwitter #wxX
The Weather Prediction Center has issued a mesoscale discussion in central/southern AZ into western NM as isolated to scattered flash flooding through 18Z likely with hourly rain of 1+ inches #AZwx #severewx #wxtwitter #Flood #WeatherUpdate #BREAKING
Lots of rain and wind looming off shore. Significant impacts start later today in Southern New England. #nywx #wxtwitter

Waves crashing into the Ocean City Music Pier. Ocean is already at the dunes. High tide again isn’t for a few hours… #njwx #wxtwitter
A CONE? @accuweather I’m not sure how else to tell you… it. is. NOT. tropical. You hire how many meteorologists, and not one of them can stand up and say this isn’t correct? Besides your weather corporate empire and money.. what do you even gain from this? #wxtwitter

Digital Drawing of the Rolling Fork tornado I finished #Wx #weather #wxtwitter It’s definitely up there with the most violent tornados I’ve witnessed. I still remember it like it was yesterday. Hard to believe it’s been two years since.

Despite Melbourne Beach barely having a beach tourists and visitors are still enjoying it. @NbergWX @TMainolfiWESH @FLStormChasers_ @spann #FLwx #wxtwitter.

Hey #WXX/#WXtwitter! Let’s start a movement and delete AccuWeather and give them an UNfollow! They constantly spread lies and misinformation about weather and fear-monger almost constantly.

📸The final phase of what was a stunning mothership. Now with such unique and smooth structure with the bottom layer completely hollowed out and detached from the rest! Hugo, CO 8/4/25 #cowx #wxtwitter #StormHour

Y’all, I did it again. I’m losing my mind with these mesoscale motherships. #okwx #oklahoma #wxtwitter @ryanhallyall @spann

While #WxTwitter is arguing fair use case law for 30 seconds between a weather streamer and gaming streamer, the Master General of Arizona is at it again! 🙃😬🤪


Something went wrong.
Something went wrong.
United States Trends
- 1. James Franklin 42.4K posts
- 2. Cowboys 43.9K posts
- 3. Jets 102K posts
- 4. George Pickens 6,226 posts
- 5. Drake Maye 12.9K posts
- 6. Penn State 57.9K posts
- 7. Rico Dowdle 3,393 posts
- 8. Justin Fields 21.6K posts
- 9. Colts 43.3K posts
- 10. Steelers 47.2K posts
- 11. Zay Flowers 1,898 posts
- 12. Cooper Rush 2,580 posts
- 13. Puka 7,840 posts
- 14. Eberflus 1,993 posts
- 15. #RavensFlock 2,210 posts
- 16. #Browns 2,770 posts
- 17. Rodgers 6,559 posts
- 18. Henry 40.8K posts
- 19. Broncos 45K posts
- 20. Aaron Glenn 9,204 posts