TorTarget's profile picture. Put your tornado forecasting skills and techniques to the test! A great way to learn, teach, practice, and have fun! Chase On! #TTC26

Tornado Target Contest

@TorTarget

Put your tornado forecasting skills and techniques to the test! A great way to learn, teach, practice, and have fun! Chase On! #TTC26

고정된 트윗

This contest is being used as an opportunity for weather professionals, researchers, students, and enthusiasts to improve forecasting techniques of these phenomena in a competitive and educational environment. It is solely a qualitative and objective way to better technique.


🚨⚠️🚨⚠️🚨⚠️🚨⚠️🚨⚠️


Tornado Target Contest 님이 재게시함

It appears the Enderlin, ND, tornado on June 20, 2025, has been upgraded to an EF-5, the first in the US since the Moore, OK, tornado of May 20, 2013. The reasons for the upgrade include the train derailment south of Enderlin and trees that were debarked with a "sandpapering…

ConvChronicles's tweet image. It appears the Enderlin, ND, tornado on June 20, 2025, has been upgraded to an EF-5, the first in the US since the Moore, OK, tornado of May 20, 2013. The reasons for the upgrade include the train derailment south of Enderlin and trees that were debarked with a "sandpapering…

Tornado Target Contest 님이 재게시함

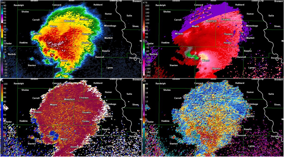
June 16, 2014: One of the 2010s' most unique tornadic events saw a cyclic cell spawn four EF4s in northeast Nebraska. For much of the storm's life, two violent wedges were on the ground at the same time. Pilger took a devastating direct hit. Two people were killed. #wxhistory

weather_history's tweet image. June 16, 2014:

One of the 2010s' most unique tornadic events saw a cyclic cell spawn four EF4s in northeast Nebraska. For much of the storm's life, two violent wedges were on the ground at the same time. Pilger took a devastating direct hit. Two people were killed.

#wxhistory
weather_history's tweet image. June 16, 2014:

One of the 2010s' most unique tornadic events saw a cyclic cell spawn four EF4s in northeast Nebraska. For much of the storm's life, two violent wedges were on the ground at the same time. Pilger took a devastating direct hit. Two people were killed.

#wxhistory
weather_history's tweet image. June 16, 2014:

One of the 2010s' most unique tornadic events saw a cyclic cell spawn four EF4s in northeast Nebraska. For much of the storm's life, two violent wedges were on the ground at the same time. Pilger took a devastating direct hit. Two people were killed.

#wxhistory
weather_history's tweet image. June 16, 2014:

One of the 2010s' most unique tornadic events saw a cyclic cell spawn four EF4s in northeast Nebraska. For much of the storm's life, two violent wedges were on the ground at the same time. Pilger took a devastating direct hit. Two people were killed.

#wxhistory

Today is the last forecast day of TTC!

7:42am CDT #SPC Day1 Outlook Enhanced Risk: across parts of Montana spc.noaa.gov/products/outlo…

NWSSPC's tweet image. 7:42am CDT #SPC Day1 Outlook Enhanced Risk: across parts of Montana spc.noaa.gov/products/outlo…


Last week of forecasting !

12:38pm CDT #SPC Day2 Outlook Slight Risk: across southeast New Mexico and Far West/Southwest Texas spc.noaa.gov/products/outlo…

NWSSPC's tweet image. 12:38pm CDT #SPC Day2 Outlook Slight Risk: across southeast New Mexico and Far West/Southwest Texas spc.noaa.gov/products/outlo…


Tornado Target Contest 님이 재게시함

This was CRAZYY

NimbusStorms's tweet image. This was CRAZYY

2 more weeks of forecasting left for the contest!

7:51am CDT #SPC Day1 Outlook Slight Risk: from southern/central High Plains across the central Plains into southwestern MN spc.noaa.gov/products/outlo…

NWSSPC's tweet image. 7:51am CDT #SPC Day1 Outlook Slight Risk: from southern/central High Plains across the central Plains into southwestern MN spc.noaa.gov/products/outlo…


Tornado Target Contest 님이 재게시함

7:51am CDT #SPC Day1 Outlook Slight Risk: from southern/central High Plains across the central Plains into southwestern MN spc.noaa.gov/products/outlo…

NWSSPC's tweet image. 7:51am CDT #SPC Day1 Outlook Slight Risk: from southern/central High Plains across the central Plains into southwestern MN spc.noaa.gov/products/outlo…

Tornado Target Contest 님이 재게시함

May 25, 2008: A major outbreak of 32 tornadoes struck the Central US. Three tornadoes were significant (EF2+), the strongest of which was an extremely violent EF5 that devastated parts of Parkersburg and New Hartford, Iowa. Ten people were killed and 92 were injured. #wxhistory

weather_history's tweet image. May 25, 2008:

A major outbreak of 32 tornadoes struck the Central US. Three tornadoes were significant (EF2+), the strongest of which was an extremely violent EF5 that devastated parts of Parkersburg and New Hartford, Iowa. Ten people were killed and 92 were injured.

#wxhistory
weather_history's tweet image. May 25, 2008:

A major outbreak of 32 tornadoes struck the Central US. Three tornadoes were significant (EF2+), the strongest of which was an extremely violent EF5 that devastated parts of Parkersburg and New Hartford, Iowa. Ten people were killed and 92 were injured.

#wxhistory
weather_history's tweet image. May 25, 2008:

A major outbreak of 32 tornadoes struck the Central US. Three tornadoes were significant (EF2+), the strongest of which was an extremely violent EF5 that devastated parts of Parkersburg and New Hartford, Iowa. Ten people were killed and 92 were injured.

#wxhistory
weather_history's tweet image. May 25, 2008:

A major outbreak of 32 tornadoes struck the Central US. Three tornadoes were significant (EF2+), the strongest of which was an extremely violent EF5 that devastated parts of Parkersburg and New Hartford, Iowa. Ten people were killed and 92 were injured.

#wxhistory

Tornado Target Contest 님이 재게시함

11:48am CDT #SPC Public Severe Weather Outlook #PWO concerning #arwx #kswx #mowx #newx #okwx #txwx spc.noaa.gov/products/outlo…

NWSSPC's tweet image. 11:48am CDT #SPC Public Severe Weather Outlook #PWO concerning #arwx #kswx #mowx #newx #okwx #txwx spc.noaa.gov/products/outlo…

Tornado Target Contest 님이 재게시함

May 4, 2007 vs May 18, 2025 - same towns, same time.

thebroderickwx's tweet image. May 4, 2007 vs May 18, 2025 - same towns, same time.
thebroderickwx's tweet image. May 4, 2007 vs May 18, 2025 - same towns, same time.
thebroderickwx's tweet image. May 4, 2007 vs May 18, 2025 - same towns, same time.
thebroderickwx's tweet image. May 4, 2007 vs May 18, 2025 - same towns, same time.

Tornado Target Contest 님이 재게시함

7:53am CDT #SPC Day1 Outlook Moderate Risk: far north Texas, much of central and eastern Oklahoma, southeast Kansas, and the Ozarks spc.noaa.gov/products/outlo…

NWSSPC's tweet image. 7:53am CDT #SPC Day1 Outlook Moderate Risk: far north Texas, much of central and eastern Oklahoma, southeast Kansas, and the Ozarks spc.noaa.gov/products/outlo…

Tornado Target Contest 님이 재게시함

Praying for Kansas. Just took this picture outside of Plevna KS at 23:56

tornadopaigeyy's tweet image. Praying for Kansas. Just took this picture outside of Plevna KS at 23:56

Tornado Target Contest 님이 재게시함

@MaxVelocityWX new richmond Wisconsin tornado. Less than 100 yards from my friends house!

GamesBest13's tweet image. @MaxVelocityWX new richmond Wisconsin tornado. Less than 100 yards from my friends house!

Tornado Target Contest 님이 재게시함

Tornado touches down near New Richmond, WI. (Video via David Brown)


Did you forecast a tornado today?

Yes %65.4
No! %34.6

26표 · 최종 결과


Tornado Target Contest 님이 재게시함

7:43am CDT #SPC Day1 Outlook Enhanced Risk: late this afternoon into early tonight from eastern Nebraska into western and central Iowa spc.noaa.gov/products/outlo…

NWSSPC's tweet image. 7:43am CDT #SPC Day1 Outlook Enhanced Risk: late this afternoon into early tonight from eastern Nebraska into western and central Iowa spc.noaa.gov/products/outlo…

Tornado Target Contest 님이 재게시함

7:45am CDT #SPC Day1 Outlook Moderate Risk: from the Arklatex into southeast Missouri spc.noaa.gov/products/outlo…

NWSSPC's tweet image. 7:45am CDT #SPC Day1 Outlook Moderate Risk: from the Arklatex into southeast Missouri spc.noaa.gov/products/outlo…

Tornado Target Contest 님이 재게시함

LARGE WEDGE TORNADO ON THE GROUND, CARAWAY ARKANSAS ON THE COPIC STREAM! YOU’VE GOTTA BE IN SHELTER! DEADLY TORNADO ON THE GROUND. #arwx #tornado


Tornado Target Contest 님이 재게시함

Goodness @BrandonCopicWx's stream is insanity youtube.com/live/N1vkHsIlL…

MikeOlbinski's tweet image. Goodness @BrandonCopicWx's stream is insanity youtube.com/live/N1vkHsIlL…

Loading...

Something went wrong.


Something went wrong.